Los fondos del volcán de fango Gazul, en el Golfo de Cádiz, al descubierto en un estudio del Instituto Español de Oceanografía

Corales, gorgonias, esponjas o ascidias tapizan los fondos de este singular volcán a más de 400 metros de profundidad y a 40 kilómetros de la capital gaditana

El trabajo lo ha publicado la prestigiosa revista Deep-Sea Research

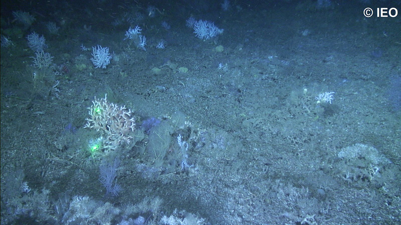
Fondos del volcán del fango azul, en el Golfo de Cádiz.
Fondos del volcán del fango azul, en el Golfo de Cádiz. / IEO
R. D.

28 de enero 2021 - 15:24

Corales, gorgonias, esponjas o ascidias tapizan los fondos del volcán de fango Gazul, ubicado a más de 400 metros de profundidad en el golfo de Cádiz, a unos 40 kilómetros de la capital gaditana, unos hábitats que han descrito y cartografiado científicos del Instituto Español de Oceanografía (IEO).

Un equipo científico del Instituto Español de Oceanografía (IEO) acaba de publicar un trabajo en la prestigiosa revista Deep-Sea Research en el que han descrito y cartografiado con gran detalle los hábitats que albergan los fondos del este volcán, una elevación de 107 metros y con un diámetro de 1200 metros cuya base se encuentra cerca de los 500 metros de profundidad.

Está formado por la expulsión de fangos cargados de gases desde el subsuelo que, gracias a la acción de bacterias que se alimentan del metano, transforman el fondo en un sustrato rocoso. A estos procesos geológicos se suma la intensa actividad en esta zona de la corriente de fondo mediterránea que atraviesa el Estrecho de Gibraltar y aumenta la disponibilidad de alimento y permite el afloramiento del sustrato rocoso, esencial para la fijación de muchas especies sésiles como esponjas y corales que a su vez ofrecen protección y alimento a otras especies bentónicas.

“Estos procesos geológicos y oceanográficos, que ocurren a diferentes escalas espaciales y temporales, modifican el relieve y el sustrato del fondo y con ello aumentan la diversidad de hábitats”, explica Javier Urra, científico del Centro Oceanográfico de Málaga del IEO y autor principal del artículo.

Los científicos han definido seis hábitats principales, la mayor parte de ellos de un alto valor ecológico, como los formados por corales de aguas frías o las agregaciones de gorgonias y esponjas; y otros muy particulares y poco comunes en zonas profundas, como los campos de ascidias. Además, han localizado un campo de chimeneas carbonatadas en su posición vertical original, lo cual representa uno de los pocos casos documentados para el sur de Europa.

Agregaciones de corales de aguas frías en la cima de Gazul
Agregaciones de corales de aguas frías en la cima de Gazul / IEO

Los resultados se han obtenido gracias al análisis de más de 22 horas de grabaciones de video submarinas, obtenidas durante tres campañas oceanográficas en el marco de los proyectos INDEMARES, ISUNEPCA y ATLAS (H2020) tanto en Gazul como en sus inmediaciones. Se identificaron a lo largo de todos los transectos las principales especies presentes y el tipo de fondo en el que se encontraban, definiéndose así el tipo de hábitat en cada localización geográfica. Estas observaciones se relacionaron con diferentes variables morfológicas y geológicas del sustrato obtenidas a partir de sondas acústicas, lo cual ha permitido a los científicos cartografiar con gran detalle la distribución de los hábitats y las características geológicas en el volcán y en sus inmediaciones.

Presencia de basura

El trabajo analiza también la presencia de basura en los fondos marinos del volcán Gazul, que en su mayoría (63%) consistió en restos de redes y líneas de pesca abandonadas. Estos restos aparecieron, en algunos casos, enredados en especies sésiles como gorgonias, corales o esponjas, lo cual puede generar importantes daños sobre estas especies vulnerables debido a la fricción. “Actualmente la actividad pesquera en Gazul es bastante baja y mucho menor que en otras zonas del golfo de Cádiz, pero este trabajo nuevamente sugiere la necesidad de regular la pesca en esta zona que supone una pequeña superficie, pero posee un incalculable valor ecológico”, explica José Luis Rueda, científico del Centro Oceanográfico de Málaga del IEO y coautor del trabajo.

stats